Класс Месторождения: Мелкое
Тип Месторождения: Нефтегазовое
Местоположение:
Местность:
Стадия разработки: Добыча
Год открытия: 1959
Источник информации: Росгеолфонд
Метод открытия:
Площадь: 6.4 км²
Газонефтяное месторождение Мухто
Газонефтяное месторождение Мухто является самым крупным месторождением Паромайской зоны нефтегазонакопления. Приурочено оно к антиклинальной структуре, выявленной геологической съемкой 1930 г. и изучавшейся в 1948—1953 гг. крупномасштабными геологическими съемками, гравиметрическими, магнитометрическими и электроразведочными работами и структурным бурением. Месторождение открыто в 1959 г. скв. 1, в которой при испытании IV пласта был получен фонтан нефти с дебитом 100 т/сутки.
Стратиграфический разрез, вскрытый скважинами, расчленен на две свиты; нутовскую — алеврито-песчаную и окобыкайскую — песчано-глинистую. В пределах изученной части окобыкайской овиты мощностью около 2500 м выделяется более 20 песчаных пластов, которые в верхней половине разреза имеют мощность 50—100 м, а в нижней — 10—30 м и более (редко).

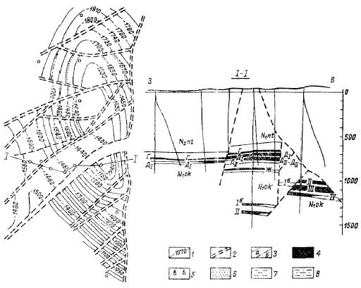
Рис. 1. Газонефтяное месторождение Мухто
1-изогипсы по кровле IVпласта, 2- разрывы, 3- контуры: а- газоносности, б -нефтеносности, 4- нефть, 5- газ, 6,7,8- песчаные, глинистые и песчано-глинистые породы соответственно.
Мухтинская антиклиналь отделена от Паромайокой небольшим седловидным прогибом. Углы падения пород ее западного крыла в присводовой части составляют 50—85, восточного — 20—30°. Вдоль западного крыла складки проходит региональный взбросо- надвиг с амплитудой 600—800 м, по которому восточный блок надвинут нa западный; кроме того, поперечными и диагональными разрывами типа сбросов складка разбита на ряд блоков.
В настоящее время промышленные залежи нефти и газа на месторождении открыты в 14 песчаных пластах. В пластах И, 1б и IV залежи газонефтяные, в остальных пластах поднадвига встречены только нефтяные залежи. В надвинутой части структуры открыты две залежи: нефтяная (II пласт) и газовая (IV пласт). По типу ловушек залежи пластов Ж, 3, И, I, Iа, Iб, II, III относятся к тектонически экранированным на периклинали, залежи пластов А, Б, В и Г — к пластовым сводовым, разбитым на самостоятельные блоки; в каждом из четырех остальных пластов — ДI, ДII, IV и VIII — встречены залежи как пластовые оводовые, разбитые на блоки, так и тектонически экранированные на периклинали. Эффективная мощность пластов-коллекторов изменяется обычно в пределах 5—20 м, иногда несколько увеличиваясь или уменьшаясь. Пористость коллекторов 21—30%, проницаемость—до 500 мдарси.
Наиболее крупные залежи нефти приурочены к пластам Г, Д, Ж и IV. Глубина залегания промышленных скоплений нефти и газа 300— 1750 м. Высоты нефтяных залежей изменяются от 20—30 до 250 м (в отдельных блоках). Начальные пластовые давления в залежах соответствовали приведенным гидростатическим; начальные дебиты изменялись от 1 до 54,5 т/сутки, причем максимальные (до 50— 70 т/сутки) дебиты отмечались в залежах пластов Ж, 3, И, I. Начальные газовые факторы составляли 21 —146 м3/т. Все залежи эксплуатировались на режиме растворенного газа; в. настоящее время пластовое давление поддерживается с помощью законтурного и внутриконтурного заводнения.
Нефти Мухтинского месторождения в четырех верхних пластах имеют плотность 830— 906,6, в нижних— 829,9—874,0 кг/м3; содержание серы 0,1—0,2, парафина 0,7—3,2%. Газ метановый, с плотностью 0,5944—0,6232 кг/м3 и содержанием тяжелых углеводородов 3,2— 3,5%. Воды гидрокарбонатно-натриевые, с минерализацией 6—28 г/л, возрастающей вниз по разрезу.
Дальнейшее направление геологоразведочных работ связывается с поисками здесь залежей в окобыкайской свите в отдельных блоках «поднадвига» и «надвига», а также в дагинских и более древних отложениях, не вскрытых еще глубоким бурением.
Геология нефтяных и газовых месторождений Сахалина. Л., «Недра», 1974. 183 с. (Труды Всесоюзн. нефт. научн.-исслед. геол. разв. ин-та, вып. 328). Авт.; С. II. Алексейчик, Т. И. Евдокимова, В. С. Ковальчук и др.
Следующее Месторождение: Крапивинское (Томск/Омск)