Класс Месторождения: Мелкое
Тип Месторождения: Нефтегазовое
Местоположение:
Местность:
Стадия разработки: Нерегулярная добыча
Год открытия: 1964
Источник информации: Росгеолфонд
Метод открытия:
Площадь: 7.05 км²
Газонефтяное месторождение Нельма
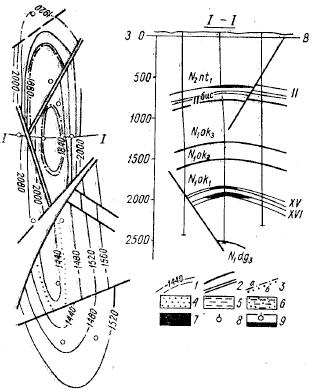
Нельминское газонефтяное месторождение приурочено к асимметричной брахиантиклинальной складке размером 5X2 км, ориентированной в субмеридиональном направлении. Углы падения на восточном крыле (вблизи свода) составляют 8—12°, далее к востоку возрастают до 60, на западном крыле не превышают 10—12°, отмечено возрастание крутизны (до 15—20°) западного крыла и смещение свода с глубиной за счет увеличения мощностей окобыкайской свиты. Складка нарушена рядом сбросов с амплитудами 20—100 м. Разрывы эти существенно влияют на распределение залежей нефти и газа по площади и разрезу, в ряде случаев обусловливают различное положение водонефтяных контактов, затрудняют расшифровку строения складки. Отложения дагинской свиты (вскрытой мощностью до 500 м) изучены только в южном тектоническом блоке, где они представлены переслаиванием алеврито-песчаных пластов с плотными оскольчатыми глинами. При опробовании некоторых песчаных пластов были получены притоки пластовой воды с пленками нефти, что позволяет предполагать наличие залежей нефти и газа в более благоприятных структурных условиях (в своде складки).


Рис. 1. Нельминское газонефтяное месторождение.
1-изогипсы по кровле XVIпласта, 2- разрывы, 3- контуры: а- нефтеносности, б- газоносности, 4,5,6 - песчаные, глинистые и песчано-глинистые породы соответственно, 7- нефть, 8- газ, 9 – нефть и газ
В разрезе окобыкайской свиты (мощностью 1300—1500 м) выделяется 20 сложнопостроенных песчаных пластов, залегающих на глубинах от 750 до 2500 м. В результате бурения поисково-разведочных скважин была выявлена газоносность X и XIII, газонефтеносность XVи XVI и нефтеносность XVIIIи XIX пластов. В породах нутовокой свиты (II пласт) находится одна газонефтяная залежь.
Нефтяная залежь XIX пласта была установлена в результате испытания скв. 4 (интервал перфорации 2250—2245 м), где был получен (приток нефти с водой дебитом 18,7 м3/сутки. Газовый фактор равен 437 м3/т, начальное пластовое давление 219 кгс/см2. Залежь приурочена к небольшому тектоническому блоку (на севере складки). В южном блоке при испытании этого пласта в скв. 16 получен также фонтанный приток безводной нефти с дебитом 30 м3/сутки через 6-миллиметровый штуцер. Нефть лелкая (плотность 839,2—843,3 кг/м3), парафинистая (3,28—3,20%), малосмолистая и малосернистая (0,20—0,28%). Содержание фракций до 300°С—68%. Залежь пластовая, тектонически экранированная (на периклинали).
Нефтяная залежь XVIII пласта выявлена в тектоническом блоке на северной периклинали складки, где при испытании в скв. 4 (интервал перфорации 2212—2206 м) был получен фонтан нефти и воды. Общий дебит жидкости через 6-миллиметровый штуцер составил 24,4 м3/сутки, в том числе дебит нефти 11,7 м3/сутки. Газовый фактор равен 386 м3/т. Залежь пластовая, тектонически экранированная (на периклинали), имеет небольшие размеры.
Нефтяная залежь XVI пласта также была обнаружена в северном тектоническом блоке в скв. 4 (интервал перфораций 1914— 1883 м). Дебит нефти достигал 250 т/сутки (через 12-миллиметровый штуцер) при газовом факторе 500 м3/т. Мощность XVI пласта изменяется от 32 до 58 м, эффективная нефтенасыщенная мощность в среднем 39,2 м. Пористость 20,4%, проницаемых до 730 мдарси. По составу нефть аналогична таковой из залежи XIX пласта.
Промышленная нефтеносность XV пласта была доказана при испытании его в скв. 1, где получен приток нефти с дебитом 8 т/сутки (через 6-миллиметровый штуцер). Газовый фактор достигал 160 м3/т. Эффективная мощность пласта изменяется от 1 до 16,6 м, нефтена1сыще1нная мощность 4,7 м. Плотность нефти 841,1—850,9 кг/м3, содержание парафина 2,68—2,80%. Залежь приурочена к своду складки и имеет небольшие размеры. Из этого же пласта в южном тектоническом блоке получен фонтан сухого газа с дебитом 150,4 тыс. м3/сутки через 9-миллиметровый штуцер (скв. 21). Начальное пластовое давление 145,6 кг/м3, плотность газа 0,5861 кг/м3. Залежь пластовая, тектонически экранированная (на периклинали).
Небольшая газовая залежь в ХIII пласте была открыта при испытании его в эксплуатационной скв. 101 в северном тектоническом блоке.
Промышленный приток газа из скв. 21 (интервал перфорации 1044—1037 м) доказал наличие залежи в X пласте. Дебит газа составил 66,7 тыс. м3/сутки (через 7,5-миллиметровый штуцер), пластовое давление 103,7 кгс/см2. Плотность газа 0,5605 кг/м3, в составе его преобладает метан (98%). Залежь газа также относится к тектонически экранированным (на периклиналн). Нефтяная залежь 11 пласта нутовской свиты была выявлена в акв. 10 (интервал перфорации 662—651 м), где был получен фонтанный приток безводной нефти с дебитом 18,9 т/сутки (через 4,5-миллнметровый: штуцер). Газовый фактор 213 м3/т, начальное пластовое давление 62,9 кгс/см2. Эффективная мощность пласта колеблется от 16 до 25 м. Открытая пористость коллектора в среднем равна 21,8%, проницаемость до 88 мдарси. Нефть тяжелая (плотность. 924,4 кг/м3), малопарафинистая (0,68%), смолистая (22%). Выход легких фракций до 300°С около 45,0%. Залежь пластовая сводовая, разбитая разрывами.
При опробовании IIпласта в скв. 19 (интервал перфорации 363—354 м) получен приток газа с дебитом 95,1 тыс. м3/сутки (через 20-миллиметровый штуцер). Начальное пластовое давление 30,1 кгс/см2, плотность газа 0,5895 кг/м3. Содержание метана 95—98,5%. Залежь пластовая, тектонически экранированная (на периклинали).
Пластовые воды Нельминского месторождения относятся к гидрокарбонатно-натриевому типу, минерализация их увеличивается с глубиной от 3,1 (пласт 11-бис) до 10,6 г/л (XX).
Дальнейшие перспективы развития месторождения связаны с поисками залежей в отложениях дагинской и нижележащих миоценовых свит в своде складки.
Геология нефтяных и газовых месторождений Сахалина. Л., «Недра», 1974. 183 с. (Труды Всесоюзн. нефт. научн.-исслед. геол. разв. ин-та, вып. 328). Авт.; С. II. Алексейчик, Т. И. Евдокимова, В. С. Ковальчук и др.
Следующее Месторождение: Орловское