Класс Месторождения: Крупное
Тип Месторождения: Нефтяное
Местоположение:
Местность:
Стадия разработки: Добыча
Год открытия: 1971
Источник информации: ПП_2018г. (актуально на 2023г.)
Метод открытия:
Площадь: 2.95 км²
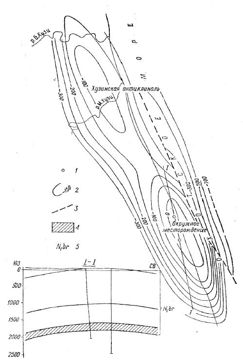
Окружное нефтяное месторождение
Окружное нефтяное месторождение приурочено к одноименной брахиантиклинальной складке. Расположено на берегу Охотского моря: западная его половина находится на территории острова, а восточная— в акватории Охотского моря. Свод складки сложен породами борской свиты. На западном крыле углы падения 15—30°, на восточном они несколько круче. Кроме того, восточное крыло осложнено продольным разрывом.

Рис. 1. Окружное нефтяное месторождение. 1- 'Поисковые скважины, давшие нефть; 2— изогипсы по электрореперу внутри верхней части борской свиты; 3 — разрывы; 4 — нефтеносный горизонт; 5 — борская свита.
Под поисково-разведочное бурение складка подготовлена структурным бурением, а в пределах моря — морскими сейсморазведочными работами МОВ. Поисковое бурение начато в конце 1970 г. Вскрытый скважинами разрез верхнего (?)—среднего миоцена представлен алевритами с редкими прослоями песчаников.
В 1971 г. из СКВ. 1 при испытании интервалов 1640—1660 и 1793—1818 м были получены фонтанные притоки (через 11,5-миллиметровый штуцер) нефти до 119 т/сутки. Плотность нефти 828,1 кг/м3, содержание серы 0,21, парафина 0,66%.
Геология нефтяных и газовых месторождений Сахалина. Л., «Недра», 1974. 183 с. (Труды Всесоюзн. нефт. научн.-исслед. геол. разв. ин-та, вып. 328). Авт.; С. II. Алексейчик, Т. И. Евдокимова, В. С. Ковальчук и др.
Следующее Месторождение: Нижнетабаганское