Класс Месторождения: Среднее
Тип Месторождения: Нефтегазоконденсатное
Местоположение:
Местность:
Стадия разработки: Добыча
Год открытия: 1965
Источник информации: Росгеолфонд
Метод открытия:
Площадь: 5.8 км²
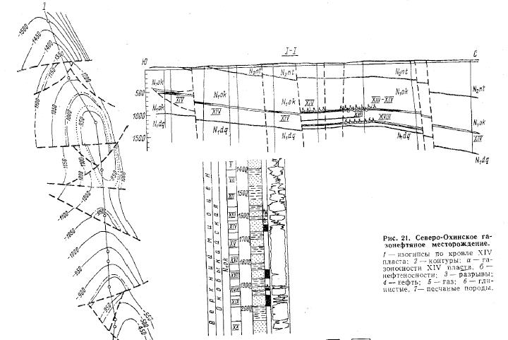
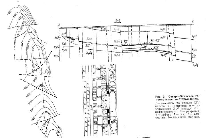
Газонефтяное месторождение Северная Оха
Северо-Охииское газонефтяное месторождение (рис. 1) приурочено к небольшой антиклинальной складке, осложняющей северную периклиналь Охинской структуры. Свод, ее сложен глинисто-песчаными осадками нижненутовской подсвиты, под которыми залегают песчано-глинистые отложения окобыкайской свиты мощностью 1100 м.
Складка, как и вся северная периклиналь Охинской структуры, осложнена многочисленными в основном широтными и диагональными разрывами с амплитудой до 200 м. Складка ассиметрична, с относительно пологим (5-100) западным крылом и более крутым (до 400) восточным.


Рис. 1. Газонефтяное месторождение Северная Оха.
1-изогипсы по кровле XIVпласта, 2- контуры: а- газоносности XIV пласта, б- нефтеносности, 3- разрывы, 4- нефть, 5- газ, 6- глинистые, 7- песчаные породы
Месторождение открыто в 1965 г. В настоящее время промышленная нефтегазоносность установлена в пяти алеврито-песчаных пластах окобыкайской свиты. В одном пласте(XIII) открыта газовая залежь, в двух (XIV, XVIII) нефтяные с газовыми шапками и в двух (XVIIи XIX) нефтяные.
Промышленные скопления залегают на глубинах 900-1400 м. Эффективная мощность пластов колеблется от 8 до 23 м, пористость – от 20 до 23%. Пласты характеризуются резкой литологической изменчивостью. Наиболее выдержаны по площади и относительно монолитны XIIIи XIV пласты. Нижележащие коллекторы состоят из чередующихся аллевритов и тонких песчаных прослоев, многие из которых выклиниваются в северо-восточном направлении. Высота залежей в отдельных блоках изменяются от 10 до 220 м.
Самые крупные запасы нефти и газа приурочены к XIV пласт. Пластовое давление в залежи 98 кгс/см2. Начальные среднесуточные дебиты 5-25 т/с утки при газовом факторе в 50-70 м3/т.
Нефти Северо-Охинского месторождения имеют плотность от 842,1 до 869,3 кг/м3, содержат 12-28% акцизных смол и 0,6-2,8% парафина. Газы метановые, с плотностью 0,5871 – 0,5945 кг/м3, увеличивающейся вниз по разрезу.
Воды гидрокарбонатно-натриевые с минерализацией до 15 г/л. Дальнейшие нефтепоисковые работы на Северо-Охинском месторождении связаны с разведкой тектонических блоков и поисками залежей нефти и газа в дагинских и более древних отложениях.
Геология нефтяных и газовых месторождений Сахалина. Л., «Недра», 1974. 183 с. (Труды Всесоюзн. нефт. научн.-исслед. геол. разв. ин-та, вып. 328). Авт.; С. II. Алексейчик, Т. И. Евдокимова, В. С. Ковальчук и др.
Следующее Месторождение: Лянторское