Класс Месторождения: Мелкое
Тип Месторождения: Нефтегазоконденсатное
Местоположение:
Местность:
Стадия разработки: Открытие
Год открытия: 1963
Источник информации: Росгеолфонд
Метод открытия:
Площадь: 2.86 км²
Северо-Колендинское газонефтяное месторождение
Северо-Колендинское газонефтяное месторождение вступило в разведку 1963 г., причем первые поисковые скважины были заложены в сводовой части куполообразной складки, выявленной электроразведочными работами. После проведения детальных сейсмических работ было установлено, что свод складки смещен в северо-восточном направлении относительно первоначально предполагавшегося его местоположения, а скважины пробурены на юго-западном крыле структуры.

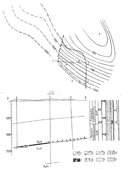
Рис.1. Северо-Колендинское газонефтяное месторождение. 1- изогипсы по кровле XVIII пласта, 2- линия выклинивания XVIII пласта, 3- разрыв, 4- контуры: а-газоносности, б- нефтеносности; 5 – нефть, 6- газ, 7- песчаные, 8- глинистые породы
В стратиграфическом разрезе, вскрытом скважинами, выделены те же свиты, что и на Колендинском месторождении. Различие состоит лишь в том, что в разрезе нутовакой и окобыкайской свит Северо-Колендинского месторождения число и мощность песчаных пластов резко уменьшаются, а в пильской, наоборот, возрастают.
На месторождении открыта одна газонефтяная залежь в XVIII пласте нутовской свиты. Установлена она скв. 1, когда при испытании интервала 1302—1312 м был получен фонтан газа с абсолютно свободным дебитом 670 000 м3/сутки. Кроме того, непромышленный приток тяжелой (плотностью 918 кг/м3) нефти был получен из XVII пласта.
Продуктивный XVIII пласт эффективной мощностью не более 5-6 м представлен мелкозернистым песком и алевритом с общей пористостью около 20% и проницаемостью до 200 мдарси. По предварительным данным, залежь литологически экранирована, приурочена к крылу структуры и, возможно, осложнена разрывом. Высота залежи 320 м, высота газовой шапки — 220 м. Начальное пластовое давление в залежи 126 кгс/см2. Газ сухой, плотностью 0,567 кг/м3, с содержанием метана 98,1 и тяжелых углеводоров до- 1,8%. Нефть имеет плотность 838 кг/м3, содержит акцизных смол 12, парафина 2,5%; выход легких фракций (до 300°С) составляет 67%. Пластовые воды продуктивной части разреза хлоркальцие- вые и хлормагниевые с общей минерализацией до 26 г/л
Разведочные площади. На двух площадях — Троптунской (брахиантиклиналь) и Береговой (складка типа структурного носа) — было проведено поисковое бурение, не давшее положительных результатов. На Троптунской площади бурением вскрыты породы нижней части миоцена и верхнемеловые отложения, из которых были получены незначительные притоки газа, растворенного в воде; на Береговой площади вскрыты породы плиоцена и миоцена, признаков нефти и газа в них не обнаружено.
Геология нефтяных и газовых месторождений Сахалина. Л., «Недра», 1974. 183 с. (Труды Всесоюзн. нефт. научн.-исслед. геол. разв. ин-та, вып. 328). Авт.; С. II. Алексейчик, Т. И. Евдокимова, В. С. Ковальчук и др.
Следующее Месторождение: Вынгапуровское