Класс Месторождения: Крупное
Тип Месторождения: Нефтегазоконденсатное
Местоположение: Суша
Местность: Болото
Стадия разработки: Добыча
Год открытия: 1970
Источник информации: Росгеолфонд
Метод открытия: Сейсмика
Площадь: 1316.67 км²
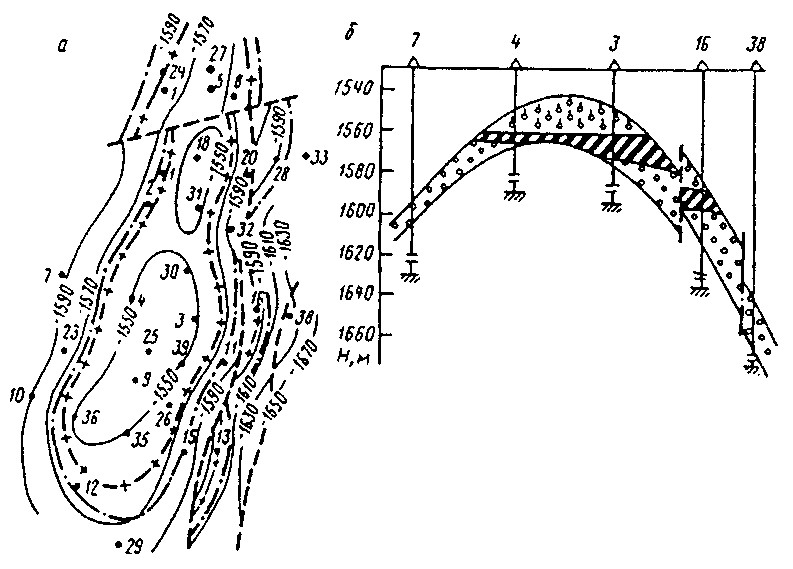
Среднеботуобинское нефтегазоконденсатное месторождение
Среднеботуобинское нефтегазоконденсатное месторождение (рис. 1) расположено в 112 км юго-западнее от г. Мирного. Среднеботуобинское месторождение открыто в 1970 г. первой параметрической скважиной Сбт-1: промышленный приток газа был получен из песчаников венда (V). С целью разведки выявленной газовой залежи ботоубинского горизонта и поисков залежей нефти и газа в других горизонтах был составлен проект поисково-разведочных работ. Месторождение приурочено к одноименной антиклинальной складке в центральной части Мирнинского свода Непско-Ботуобинской антеклизы. Это пологая брахиантиклиналь со слабо ундулирующей осью северо-восточного простирания. Размеры структуры 90x30 км, амплитудо 40—46 м. Структура осложнена дизъюнктивными нарушениями. Промышленная газонефтеносность установлена в карбонатных отложениях осинского горизонта нижнего кембрия и терригенных породах ботуобинского, улаханского и талахского горизонтов венд-нижнего кембрия. К ботуобинскому горизонту приурочена основная газовая залежь с нефтяной оторочкой, смещенной на юго-восточное крыло. Залежь пластовая сводовая с элементами тектонического экранирования. Размеры залежи 50х(12—20) км, высота 40 м, ГВК в центральном блоке -1564м. Газонасыщенные песчаники пористостью 13—18%, проницаемостью до 0,6 мкм2, эффективная толщина 3,2—10,4м. Начальное пластовое давление 14,6 МПа. Дебиты газа 280 тыс. м3/сут. Состав газа, %: метана — 87,18, этана — 3,66, пропана — 1,32, бутана — 0,43, углекислоты — 0,19, азота — 6,19, водорода — 0,09, повышенное содержание гелия. Плотность газа 0,632. Содержание конденсата 20,2 г/м3. Плотность 0,669 г/см3. Нефтенасыщенная толщина нефтяной оторочки 1,5—5м (северный блок) — 4,2—8,5м (центральный и восточный блоки). Пористость песчаников 12— 17%, начальные дебиты нефти 24 т/сут. Нефть плотностью 0,867г/см3, вязкость 9,17 мПа-с, содержание серы 0,89%, парафина 1,91—2,85%, смол и асфальтенов 9,6—21,9%, выход фракций до 300°С 77—76,5%. К ботуобинскому горизонту приурочено до 90 % разведанных запасов нефти и газа. Залежь осинского горизонта нефтегазовая, пластовая, литологически экранированная.

Рис. 1. Среднеботуобинское нефтегазоконденсатное месторождение (Г.А. Габриэлянц, 2000): а — структурная карта по кровле ботуобинского горизонта; б — геологический разрез
Высота 40 м, глубина кровли пласта 1427 м, эффективная толщина 4 м, коллектор карбонатный, пористость 13 %, проницаемость 0,015 мкм2, пластовое давление 14,3 МПа, t ТС, Дебиты нефти и газа соответственно 16 т/сут и 58 тыс. м3/сут.
Приблизительные запасы месторождения — 134 млн тонн нефти и 155 млрд кубометров природного газа. Плотность нефти 867 кг/м³. Содержание серы 0,89 %
Нефтегазоносные провинции и области России и сопредельных стран /Каламкаров Л.В. - Издательство Нефть и газ, Москва, 2005 г., 570 стр.

Следующее Месторождение: Халганское