Класс Месторождения:
Тип Месторождения: Нефтяное
Местоположение:
Местность:
Стадия разработки:
Год открытия: 1950
Источник информации:
Метод открытия:
Площадь: 4.57 км²
Войковское (Малобабчикское) нефтяное месторождение
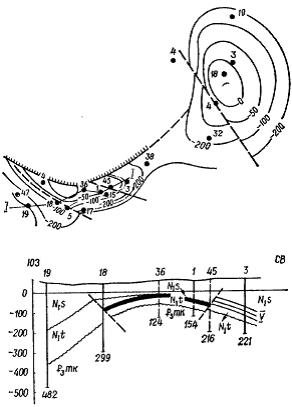
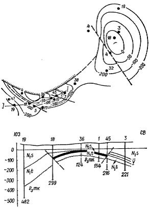
Оно расположено в северо-восточной части Керченского п-ова, приурочено к сложно построенной складке, впервые выявленной Н. И. Андрусовым в 1926—1928 гг. Складка широтного простирания состоит из Сезверо-Войковского и Южно-Войкозвского поднятий, Катерлезского купола, синклинальной вдавленности, а также структурной террасы.
Бурение скважин в пределах Северои Южно-Войковского поднятий проводилось в 1934—1935 и 1950—1954 тт., в результате чего было изучено строение этих поднятий и получены притоки газа и нефти из караганских и чокракских отложений. Ревизионными буровыми работами 1981-1983 гг. подтверждена нефтеносность караганских отложений Южно-Войковского поднятия.
На Северо-Войковском поднятии в скважинах при опробовании чокракских и караганских отложений притоков флюидов не получено, хотя по про мыслово-геофизическим данным в разрезе вскрыты маломощные низкопористые нефтенасыщенные пласты. Южно-Войковское поднятие имеет резко выраженное диапировое строение и представлено узкой брахиантиклиналью размером 1,3х0,3 км; северное крыло ее осложнено вдавленностью.
Поднятие пересекают два сброса амплитудой 10—20 м, оперяющие вдавленность (рис. 1). Нефтяные залежи установлены в двух пластах караган-чокракского возраста на глубинах 78—165 м. Нефть коричневого цвета, плотность ее 930 кг/мзЗ. Пластовое давление в залежах 0,88—1,57 МПа.

Рис. 1. Структурная карта Войковского (Малобабчикского) нефтяного месторождения по кровле продуктивного горизонта в чокракских отложениях и геологический разрез по линии I-I (по Ф. А. Рыбаковой, 1983 г.). 1 - изогипсы; 2 — разрывные нарушения; 3 — линия геологического разреза; 4 — границы стратиграфических подразделений в условиях согласного (а) и несогласного (б) залегания; 5 — граница размыва продуктивного горизонта; контуры: 6 — нефтяной залежи, 7 — газовой залежи; 8 — граница замещения коллектора неколлектором (штрихи в сторону отсутствия коллектора); 9— условная граница продуктивности; 10 — нефть; 11 - газ; 12 — сейсмические условные отражающие горизонты.
Источник: Геологния шельфа УССР. Нефтегазоносность/ Богаец А.Т., Бондарчук Г.К., Леськив И.В. и др. – Киев: Наук. Думка, 1986.- с.152
Следующее Месторождение: Владиславское