Месторождение: Возейское (ID: 35888)

Свойства

Класс Месторождения: Уникальное

Тип Месторождения: Нефтегазоконденсатное

Местоположение:

Местность:

Стадия разработки: Добыча

Год открытия: 1971

Источник информации: Росгеолфонд

Метод открытия:

Площадь: 1410.03 км²

Описание

Возейское нефтегазовое месторождение

Возейское нефтегазовое месторождение (рис. 1-4) распо­ложено в Усинском районе республики Коми в 45—100 км от г. Усинска. Открыто в 1973 г., разрабатывается с 1978 г. Приурочено к одноименной антиклинальной складке, расположенной в южной части Колвинского мегавала. Как единая крупная асимметричная оптиклинальная складка северо-западного простирания она вы­деляется лишь по отложениям триаса и выше. По нижележащим горизонтам выделяются две структурно-фациальные зоны, ко­торым соответствуют в западной части Костюкская и Западно-Возейская, а в восточной — Возейская антиклинальные склад­ки. Собственно, Возейская структура является унаследованной, образованной над выступом фундамента в пределах Колвинского авлакогена. Для нее характерны увеличение амплитуды с глуби­ной и сокращенный разрез доверхнедевонских отложений в своде (вплоть до полного выпадения среднедевонских и более чем напо­ловину нижнедевонских отложений).

 

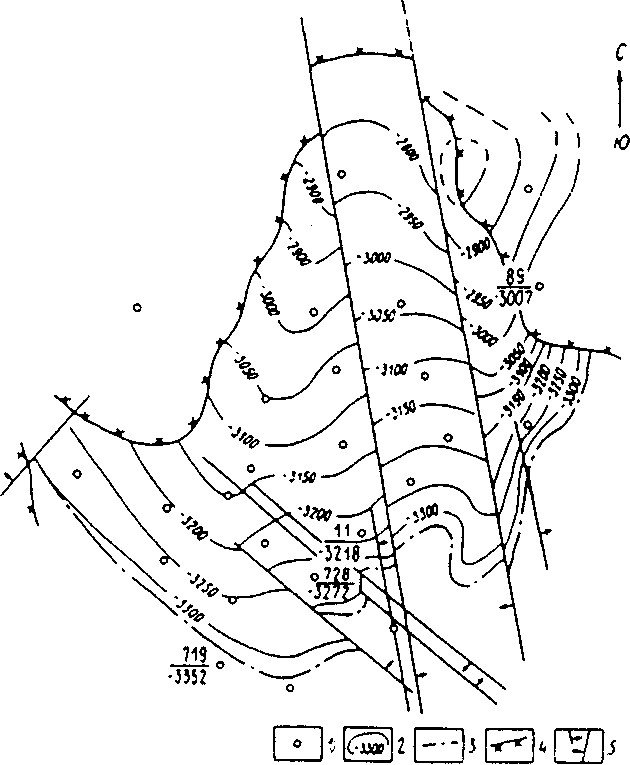
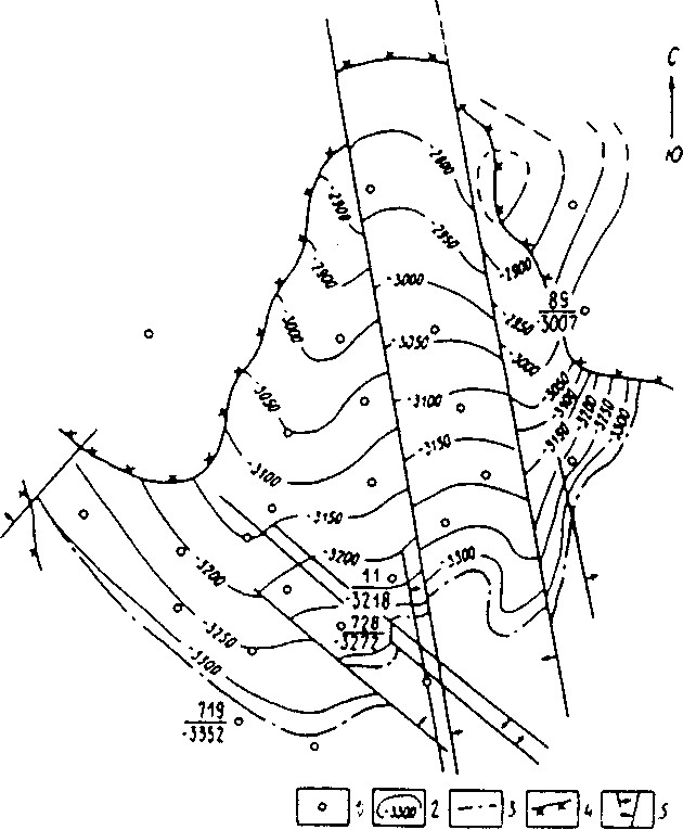
Рис. 1. Возейское нефтегазовое месторождение. Структурная карта по кровле проницаемых песчаников I + II пачек юж­ной среднедевонской залежи: 1 — скважины; 2 — изогипсы; 3 — внешний контуру гефтеносности; 4 — линия стратиграфического выклинивания проницаемых песчаников I + II пачек; 5 — тектонические нарушения

 

Рис. 2. Возейское нефтегазовое месторождение. Схематический геологический профиль южной среднедевонской залежи: 1 - скважины; 2,3 - песчаники нефте-, водонасыщенные; 4 — ВНК; 5 — линия размыва; 6 -тектонические нарушения

 

Рис. 3. Возейское нефтегазовое месторождение. Схематический геологический профиль по линии скв. 2210-63 Западно-Возейского под­нятия: 1 — линия размыва; 2 — линия раздела пачек; 3, 4 — песчаники нефте-, водонасыщенные; 5 — тектонические нарушения

По данным сейсморазведки Возейская структура имеет амп­литуду до 500 м по кровле франских отложений верхнего девона. Вверх по разрезу амплитуда уменьшается до 100 м по подошве нижнего триаса. Размеры складки по отражающему горизонту кровли франских отложений составляют 66х(18—4,5) км. По отража­ющему горизонту кровли карбонатов пермо-карбона размеры складки составляют 72х(19—7) км. Западное крыло пологое 1—5°, вдоль восточного крыла отмечается узкая зона отсутствия сей­смических отражений, связанная по данным бурения с флексурой, переходящей в сбросово-взбросовую зону.

 

Рис. 4. Возейское нефтегазовое месторождение. Структурная кар­та по кровле проницаемых ассельских карбонатов пермокарбоновой залежи: 1 — скважины; 2 — изогипсы; 3 — внешний контур нефтеносно­сти; 4 — граница отсутствия ассельских отложений; 5 — линия геологи­ческого профиля

 

В геологическом строении Возейского месторождения прини­мают участие породы фундамента и осадочные образования па­леозойского, мезозойского и кайнозойского возраста. Максималь­ная вскрытая толщина осадочного чехла составляет 4390 м.

 

Рис. 5. Возейское нефтегазовое месторождение. Схематический геологический профиль пермокарбоно-вой залежи по линии скв. 209-396: 1 — кровля ассельских карбонатов; 2, 3 — известняки Нефтенасыщенные соответственно детритовые слоистые, биогермные массивные; 4 — известняк водонасыщенный

Месторождение многопластовое, залежи нефти выявлены в значительном стратиграфическом диапазоне отложений от ниж­него девона до верхней перми, и приурочены к отдельным подня­тиям, осложняющим Возейскую структуру.

Возейское месторождение относится к категории сложнопо-строенных, что обусловлено наличием тектонических нарушений, стратиграфических выклиниваний горизонтов, замещением кол­лекторов непроницаемыми породами.

Большая часть запасов нефти содержится в нижнепермско-каменноугольной и среднедевонской залежах, приуроченных к соб­ственно Возейскому поднятию. Они являются основными объек­тами разработки месторождения.

Кроме того, значительными запасами нефти обладают фаменские залежи Возейского поднятия и среднедевонская залежь Западно-Возейского поднятия. Остальные залежи в основном мел­кие, они не играют существенной роли в структуре запасов мес­торождения.

Крупная среднедевонская залежь нефти, запасы которой со­ставляют почти 30% суммарных запасов месторождения, распо­ложена на южной периклинали структуры. Залежь пластовая, в направлении сводовой части структуры ограничена линией стра­тиграфического выклинивания пород, тектоническими нарушени­ями разделена на отдельные блоки.

Нижнедевонская залежь нефти локализована на ограниченном по размерам небольшом участке в зоне крупного флексурообразного изгиба слоев на восточном крыле Южно-Возейской структу­ры. Размеры залежи 4х(0,5—1,2) км, высота — 120 м.

Пермокарбоновая залежь — самая крупная на месторождении по запасам нефти (более 50 % балансовых и почти 40% извлекаемых) имеет сложное строение. Расположена она в центральной части Возейского поднятия. Тип коллектора карбонатный поровый. Пло­щадь нефтеносности составляет 15,5х(3,5—8) км, высота — 120м.

Средняя нефтенасыщенная толщина равна 12,9м, в том чис­ле в нефтяной зоне 15,75 м, в водонефтяной — 10,6 м. Доля водонефтяной зоны составляет 45%.

Среднедевонская залежь Западно-Возейского поднятия зани­мает на месторождении третье место по величине запасов не­фти (9 % балансовых и 20% извлекаемых) и первое место по про­дуктивности.

Нефти средне- и верхнедевонских залежей в Пластовых усло­виях недонасыщены газом, характеризуются высоким газосодер­жанием.

Растворенный в нефти газ южной среднедевонской залежи имеет промышленную концентрацию пропан-гексановой фракции (более 20 %), метана — до 60%. Содержание неуглеводородных ком­понентов невысокое, углекислого газа до 0,6%. Концентрация ге­лия некондиционная — 0,030 %.

В пермо-карбоновой залежи растворенный в нефти газ тяже­лый, жирный, с высокими концентрациями пропан-гексановой фракции и азота. В газе, выделяющемся на первой ступени сепа­рации, присутствует в значительных количествах сероводород (до 0,48%).

Газ фаменских залежей жирный, имеет промышленную кон­центрацию пропан-гексановой фракции (38%). Содержание неуг­леводородных компонентов 3,3%, содержание гелия некондицион­но, сероводород отсутствует.

В среднедевонской залежи Западно-Возейского поднятия газ содержит 54,6—69,9% метана, 18,5—29,0% пропан-гексановой фракции. Содержание неуглеводородных компонентов до 4%. Плотность газа 1,163кг/м3. Сероводород отсутствует.

 

Нефтегазоносные провинции и области России и сопредельных стран /Каламкаров Л.В. - Издательство Нефть и газ, Москва, 2005 г., 570 стр.



Следующее Месторождение: Колик-Еганское