Месторождение: Ярактинское (ID: 36391)

Свойства

Класс Месторождения:

Тип Месторождения: Нефтегазоконденсатное

Местоположение:

Местность:

Стадия разработки: Доразведка

Год открытия: 1971

Источник информации: Росгеолфонд

Метод открытия:

Площадь: 1970.84 км²

Описание

Ярактинское нефтегазоконденсатное месторождение

Ярактинское нефтегазоконденсатное месторождение (рис. 1,2) расположено в 140 км к северо-северо-востоку от г. Усть-Кута. Открытое 1971 г. Площадь 386км2. Приурочено к юго-запад­ной части моноклинального склона Непского палеосвода.

 

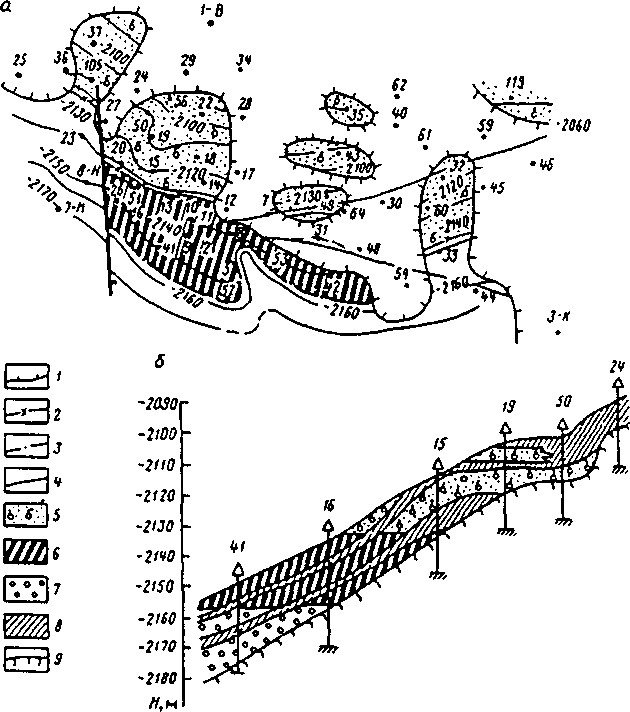
Рис. 1. Ярактинское нефтегазоконденсатное месторождение (Г.А. Габриэлянц, 2000):

а — структурная карта по кровле коллекторов ярактинской пачки; б — геологический разрез продуктивного горизонта; 1 — граница зоны рас­пространения коллекторов; 2 — внешний контур газоносности; 3 — вне­шний контур нефтеносности; 4 — линии дизъюнктивных нарушений; коллекторы: 5 — газонасыщенные, 6 — нефтенасыщенные, 7 — водонасыщенные; 8 — непроницаемые породы; 9 — кристаллический фунда­мент

 

Рис. 2. Палеоморфологическая карта ярактинских отложений Ярактино-Аянской площади (А) и палеогеологический разрез по линии II (Б):

Выработанный рельеф. До начала трансгрессии: 1 — морской подводный склон; 2 — русловые протоки; на начальном этапе трансгрессии: 3 — бе­реговой уступ; 4 — структурно-денудационный останец. Аккумулятив­ный рельеф; равнины: 5 — морская глубоководная; 6 — прибрежно-морская мелководная в начале трансгрессии; 7 — аллювиально-морская мак­симального развития трансгрессии (подводная дельта); 8 — конгломераты и галька в основании ярактинской пачки; 9 — породы-коллекторы; 10 — флюидоупоры; 11 — реперный горизонт; 12 — скважины (в числителе — номер, в знаменателе — толщина ярактинской пачки, м); 13 — изопахиты ярактинской пачки; 14 — линия профиля; 15 — контур нефтегазоносности

Установ­лено трехъярусное строение осадочной толщи (венд, кембрий, ордовик) и несовпадение нижнего структурного плана с верхним. В среднем структурном этаже зафиксировано проявление соляной тектоники и неповсеместное развитие траппового магматизма. На фоне субмеридионального моноклинального погружения обособ­ляются несколько малоамплитудных мелких поднятий, связанных с эрозионным выступом кристаллического фундамента. В базальных терригенных породах венд-кембрия (непская свита) выделяют­ся два продуктивных пласта (1-И), разобщенных глинистой пере­мычкой и ограниченных боковыми литологическими экранами. Глу­бина залегания пластов 2600—2750 м. Основным является верхний продуктивный пласт (I), развитый повсеместно на месторожде­нии. В нем выявлена газоконденсатная залежь с крупной нефтяной оторочкой. В нижнем пласте (II) в юго-восточной части месторож­дения открыты газоконденсатная и нефтяная залежи. Залежи пла­стовые, литологические с элементами тектонического экраниро­вания. Залежь в пластах (1-П) контролируется единой гидродина­мической системой. Продуктивные пласты сложены песчаниками. Коллектор поровый, трещинно-поровый. Пористость - 7—13%, проницаемость -0,07—0,6 мкм2. Эффективная толщина 2,4—6,9 м. Пластовое давление 24,9 МПа, t 37°С. Начальные дебиты нефти 16,8—30 т/сут, газа 63—154 тыс. м3/сут. Плотность нефти 685— 745 кг/м3 (сепарированной 808—840кг/м3), вязкость 1,06 мПа-с, со­держание смол селикагелевых2—4,4 %, асфальтенов 0,03—0,08 %, па­рафина 0,7-1,9%, серы 0,05-0,18 %. Состав газа, %: СН4 - 74,8-84,7, С2Н6 +высшие — 8,1. Плотность газа 0,652. Содержание стабильно­го конденсата до 199,5 г/м3. Плотность конденсата 0,704 г/м3.

 

Нефтегазоносные провинции и области России и сопредельных стран /Каламкаров Л.В. - Издательство Нефть и газ, Москва, 2005 г., 570 стр.



Следующее Месторождение: Западно-Ровненское